El huracán Ida, extremadamente peligroso toca tierra en Estados Unidos
*El huracán es catalogado como extremadamente peligroso siendo categoría 4.
Kevin González /Vale por México
2021-08-29 20:08:07
A+
a-
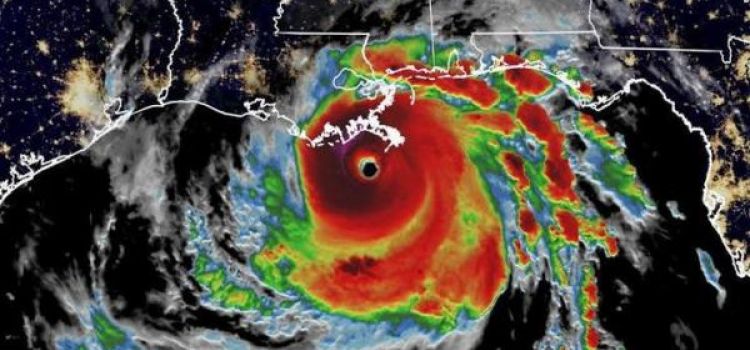
El huracán Ida, considerado "extremadamente peligroso", tocó tierra en Luisiana poco antes del mediodía local con vientos de hasta 240 km por hora, dijeron los servicios meteorológicos de Estados Unidos.


El ojo del huracán entró a EE. UU. cerca de Port Fourchon, donde tienen su base terrestre 250 empresas del sector petrolero y que representa cerca del 18 % del suministro del petróleo del país, según datos de la Cámara de Comercio local.

Además de los poderosos vientos, capaces de destruir las casas que se encuentre a su paso el ojo del huracán, las autoridades están especialmente preocupadas por las inundaciones que pueden dejar la combinación del aumento del nivel del mar causado por la marejada ciclónica, el fuerte oleaje y las intensas lluvias previstas.

Los meteorólogos dicen que los vientos, las inundaciones y las posibles marejadas ciclónicas de 4 a 16 pies podrían ser catastróficas para la costa del Golfo. Ida tocó tierra en el 16º aniversario del huracán Katrina, que devastó una gran franja de la región como huracán de categoría 4.
* Deja un comentario y no olvides compartir esta nota, es la única manera de mantener este proyecto de manera independiente.